Available

Hancock County Hunting Hideaway

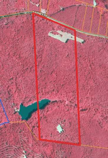
0 Balerma Church Rd, Sparta, Georgia 31087 - Hancock County
$545,136.00 113.57 Acres
Property Type:
Hunting Land Timberland Undeveloped Land
Property ID: 24571062

Description

113 Acres - Balerma Church Road, Hancock County, Georgia (Parcel ID: 212 004A) Discover the perfect blend of recreation and investment with this 113-acre tract located on Balerma Church Road in Hancock County-one of Georgia's most renowned hunting counties. Featuring a diverse mix of mature hardwoods and established pine timber, this property is well-suited for hunting, outdoor recreation, and long-term timber value.

Property Highlights:

* Acreage: 113 acres (Parcel ID: 212 004A)

* Road Frontage: Approximately 1,400 feet of paved frontage on Balerma Church Road.

* Timber: Mature hardwood ridges and pine stands provide both wildlife cover and future timber income.

* Wildlife & Hunting: Located in the heart of one of Georgia's best hunting regions, this tract holds abundant deer and turkey. Natural openings offer ideal sites for food plots and stand placement.

* Water Features: Includes access to a shared pond on the northern boundary-great for fishing and enhancing wildlife habitat.

* Topography: Rolling terrain with a mix of ridges, bottoms, and natural corridors that attract and hold game.

Location:

* Easy access to Highway 15.

* Just 8 miles from Sparta, and convenient to Milledgeville and Greensboro for shopping, dining, and supplies.

* Only 15 miles to Lake Sinclair, where you can enjoy boating, fishing, swimming, camping, and lakeside dining-making this property the perfect combination of a hunting and recreational retreat. This property is ideal for those seeking a trophy hunting retreat, recreational getaway, or timberland investment. With its combination of timber resources, abundant wildlife, pond access, and paved road frontage in Georgia's hunting heartland, it represents one of Hancock County's most versatile tracts. Adjoining Tracts also available for sale.

More

Have Questions?

Contact Agent

Map

Contact Agent

Jeff Sorohan

Orbit Real Estate Partners

8240 Macon Hwy

Athens, GA 30606

More Properties from Jeff Sorohan

1047 acres near Morgan, Georgia
$8,166,600  |  1047 acres
203 acres near Morgan, Georgia
$1,583,400  |  203 acres
844 acres near Morgan, Georgia
$6,583,200  |  844 acres
73 acres near Greene, Georgia
$1,900,000  |  73 acres